
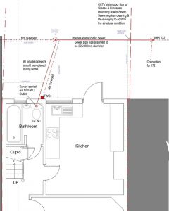
Drawing of a CCTV Drain Survey
This is an example of a drainage drawing of a CCTV survey undertaken for an architect client of ours based in Tooting, South London. This particular drawing / report will be submitted to Thames Water to help with a build over agreement application.
Are You Looking For A Drain Survey ?
We’ve worked across London for many years providing detailed CCTV surveys for clients, so if you’re searching for a reliable company, our drainage engineers are on call 24/7 and just a phone call away.
